|
|
 | |  |
| Գլխավոր էջ » 2012 » Սեպտեմբեր » 15 » Mail.ru կայքի փոստարկղի փոփոխությունները
12:14 Mail.ru կայքի փոստարկղի փոփոխությունները |
Երևի այժմ համացանցից օգտվողների մոտ 90%-ից ավելը օգտվում է Էլ. փոստերից և նրանցից ոմանք ընտրում են Mail.ru կայքը:
Վերջերս կայքում մի շարք օգտակար փոփոխություններ տեղի ունեցավ, և ձեզանից ոմանք ինձ թվում է, որ տեղյակ չեն փոփոխությունների մասին: Այսօր մանրամասն կխոսենք փոփոխությունների մասին:
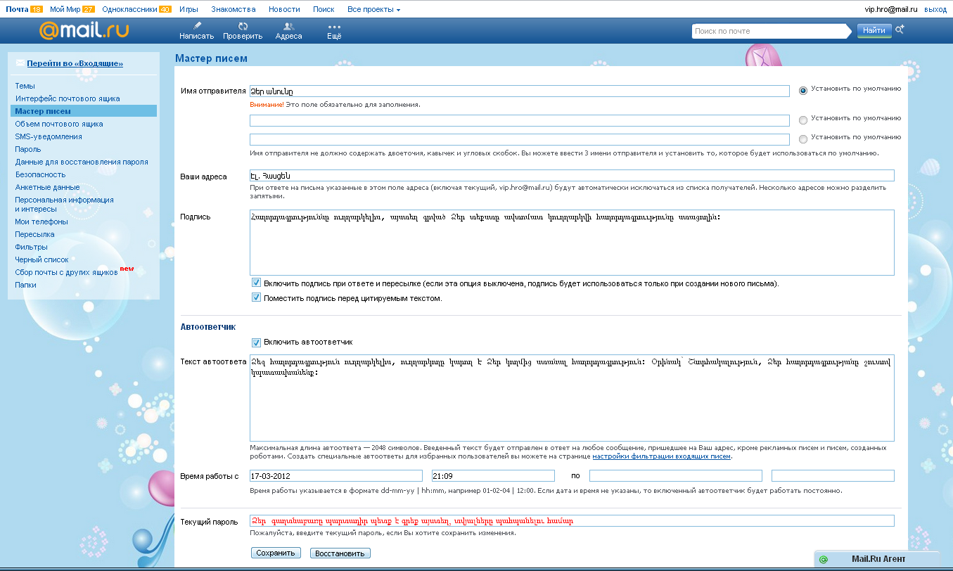
Սկզբում մուտք ենք գործում Mail.ru-ի մեր փոստարկղ, կատարում նկարում պատկերված քայլերը(Еще>Настройки)
Փոխեք փոստարկղի ամբողջ դիզայնը՝ մուտք գործելով Темы բաժինը և այնտեղից ընտրում արդեն պատրաստ շաբլոններից որևէ մեկը: Փոխեք Ձեր տվյալները մուտք գործելով Мастер писем(Փոփողություններին մանրամասն ծանոթանալու համար մեծացրեք նկարը և կարդացեք համապատասխան հուշումները) Փոխեք լեզուն, էջի վրա հաղորդագրությունների ցուցադրման քանակը և մի քանի այլ կարևոր ֆունկցիաներ մուտք գործելով Интерфейс почтового ящика
Եվ երկար սպասված ու շատ անհրաժեշտ հնարավորություն բոլոր նրանց համար, ովքեր օգտվում են մի քանի փոստային ծառայություններից(Yandex, Gmail, Rambler, Hotmail և այլն): Այս ֆունկցիան ընտրելով Դուք կստանաք Ձեր ընտրած փոստարկղերին ուղղարկված հաղորդագրություննեը և կարող եք այն կարդալ հենց Mail.ru կայքի Ձեր փոստարկղով:Մուտք գործեք Сбор почты с других ящиков, ընտրեք այն կայքը որով ուզում եք կապի մեջ մնալ Mail.ru կայքով, գրեք պահանջված հատվածում Ձեր տվյալները և վերջ, Դուք կստանաք հաղորդագրությունները Ձեր Mail.ru կայքի փոստարկղին, երբ Ձեր նոր միացված փոստարկղին ստանաք նոր հաղորդագրություն:
|
|
Դիտումներ: 343 |
Ավելացրեց: GEVORG1999
| - Վարկանիշ -: 0.0/0 |
| Մեկնաբանություններն ընդամենը՝: 0 | |
|
|
|
|
Մեկնաբանություններ ավելացնել կարող են միայն գրանցված անդամները [ Գրանցում | Մուտք ]
| |
 | |  |
|
| Мини-Профиль |
 |
Здраствуйте, հյուր!
|  |
 |
| БЛОК V |
 |
HTML cod v bloke V
|  |
 |
| БЛОК VI |
 |
Онлайн всего: ~ Гостей: ~ Пользователей: ~
Нас посетили
=) ЕГО ТОЛЬКО Я ПОСЕЩАЛ!
|  |
 |
|